Estás en Telenord Medios

Puedes continuar navegando en esta versión o visitar nuestra web de Servicios.

Skip to main content

Fiona entró al país a las 3:30 de la madrugada de este lunes

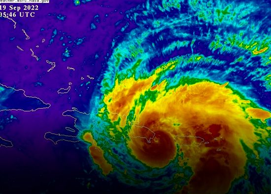
El Centro Nacional de Huracanes (CNH) informó que el huracán Fiona tocó tierra en la República Dominicana a las 3:30 de la madrugada de este lunes con vientos de 150 kilómetros por hora.

"Los datos del radar Doppler indican que el huracán #Fiona ha tocado tierra en la República Dominicana cerca de la Boca de Yuma", refirió el centro en un informe que señala las 3:30 de la madrugada del 19 de septiembre como la hora y fecha de la llegadaa la nación del fenómeno, que tiene categoría 1.

Su locación es la siguiente: 18.4°N 68.5°W.

Boca del Yuma está en la provincia La Altagracia, en la costa este de la República Dominicana.

El organismo, con sede en Miami, Estados Unidos, explicó que sus vientos máximos sostenidos al tocar tierra se estimaron en 90 mph, que son 150 km/h.

Comportamiento

Fiona alteró ligeramente su trayectoria y tomó un rumbo oeste-noroeste, lo que colocó al fenómeno directamente sobre las provincias del este del país, según el reporte de las 11:00 de la noche del CNH.

La nueva trayectoria puso al huracán en ruta a golpear las provincias de La Altagracia, La Romana, El Seibo, Hato Mayor y saliendo por Samaná, por lo que podría impactar el Parque Nacional Los Haitises.

A las 11:00 p.m. el centro del huracán Fiona estaba localizado cerca de la latitud 18.0 norte, longitud 68.1 oeste, más al sur de lo proyectado originalmente.

“Fiona se está moviendo hacia el oeste noroeste a cerca de 17 km/h. Se pronostica un movimiento hacia el noroeste comenzará durante la noche y continuará hasta el lunes, seguido de un giro hacia el norte-noroeste el martes. En la trayectoria pronosticada, el centro de Fiona se moverá sobre las sectores este de la República Dominicana esta noche y el lunes, y cerca de las Islas Turkas y Caicos o al este el martes”, señaló el CNH.

Con su fuerza de huracán categoría uno provocó lluvias y fuertes vientos la madrugada de este lunes en la provincia La Altagracia, principalmente en la zona turística de Punta Cana.

Cerca de las 2:00 de la madrugada de este lunes, personas reportaban por medio de las redes sociales, cómo estaban los vientos huracanados en Bávaro y Punta Cana.

En el anterior boletín, datos de un avión Hurricane de la Reserva de la Fuerza Aérea indicaron que se pronosticaba algún fortalecimiento durante las próximas 48 horas de Fiona.

"Los vientos con fuerza de huracán se extienden hasta 45 km del centro y los vientos con fuerza de tormenta tropical se extienden hasta 220 km. Una ráfaga de 93 km/h fue medida recientemente en Punta Cana en la República Dominicana”, agregó.

Fiona es el primer ciclón en tocar tierra dominicana en 18 años.